안녕하세요 니~킥입니다.

오늘은 논·밭작물 별 피해 주는 곤충에 대해 알아보겠습니다.
✅ 인기글
쌈 채소 종류와 효능을 알아보며 맛있는 고기 쌈 하세요^^
건강진단결과서(보건증)발급 인터넷 혹은 모바일 발급 방
성격유형 테스트(MBTI·애니어그램 검사·D.I.S.C 검사·OCEAN 테스트)
만0세~2세 영아관찰척도 (어린이집 영아 관찰 및 평가)
먹태와 황태 차이? (명태&황태&먹태) 그리고, 황태 효능
적은 월급 부담 줄여주는 두루누리 사회보험!(보험료 80% 지원)
논·밭작물 별 피해주는 곤충 알아보기
기후변화가 계속되고 있습니다. 기상청에서는 최근 기온이 6~8월 평년과 비슷하거나 높고, 강수령은 7월 남풍의 유입으로 평년과 비슷하거나 많은 것으로 전망하고 있습니다. 이러한 환경의 영향은 노지에서 키우는 식량 작물에 영향을 주어 작물의 크기, 개화 시기 등의 생육 중 요인뿐 아니라 최종적인 작물의 수량과 품질까지도 변화시킨다고 합니다.
특히 기온 상승, 대기중 이산화탄소 증가, 강수패턴 변화는 해충의 발생을 증가시키는 요인으로 이상 기후로 인해 두류로 대표되는 밭작물의 피해 양상에 변화가 예상된다고 합니다. 그렇기에 생육 시기에 따른 해충 방제를 위하여 예상 발생 시기를 대비하는 것이 중요하며 초기 방제를 철저히 하여 작물의 품질과 수량을 지켜야 합니다.
밭작물 유해한 곤충

생육 초·중기(푸종 이후~7월 하순)는 작물이 커가는 시기로 해충에 피해받은 잎이 많으면 초기 발달이 저하되고 회복이 어렵습니다. 이후 개화에도 영향을 미쳐 수량이 크게 감소될 수 있습니다. 초·중기에는 나방류, 진딧물류, 응애류 등과 같은 해충의 영향을 받는데, 작물에 따라 피해를 받는 해충의 종류에 차이를 보입니다.
먼저, 두류에 속하는 콩은 초기 나방 애벌레, 진딧물의 피해가 크며, 녹두 또한 초기 나방 애벌레의 피해가 큽니다. 기름을 이용하는 유자작물인 참깨, 들깨, 땅콩은 어떤 해충이 발견되는지 살펴보겠습니다.
참깨는 초반에 진딧물의 피해로 잎이 마르는 경우가 있고, 들깨는 나방류 중 들깨잎말이명나방의 피해가 심하며, 시설의 경우 응애의 피해가 발견되기도 합니다. 땅콩은 풍뎅이류, 진딧물류, 응애류의 피해로 초기 생육을 방해하고 바이러스를 옮기기도 합니다.
그렇다면 이러한 해충들을 어떠한 특징을 가지고 있고 어떤 피해를 주는지 더 자세히 알아보겠습니다.
밭작물 잎 갉아먹는 나방 종류
나방류 중 파밤나방과 담배거세미나방은 콩, 녹두 등과 같은 두류에 주로 피해를 줍니다. 이들은 잡식성으로 피해가 커서 초기에 발생 밀도를 낮추는 것이 중요합니다.

담배거세미나방은 고온 건조한 환경에서 발생량이 많아지기 때문에, 7월 중·하순경부터 8월 중순경까지 발생량이 많아지는 시기에 주의가 필요합니다. 담배거세미나방은 앞날개 아래에 회백색의 선이 있고 등면에 은백색의 점들을 보고 구분할 수 있습니다.

파밤나방은 4월 상순부터 11월 하순까지 발생합니다. 시설에서 월동 가능성이 높기 때문에 인근 재배농가는 주의가 필요합니다. 파밤나방의 특징은 앞날개에 황색점이 있으며 날개 옆으로 콩팥무늬를 볼 수 있습니다.
다발생기에는 7~10일 간격으로 줄기와 잎 전면에 인독사카브, 에마멕틴벤조제이트 계열과 같은 등록 약제를 살포가 필요합니다. 애벌레의 크기가 커지면 약제에 대한 효과가 떨어져 어린 시기에 약제를 도포하는 것이 좋습니다.

수수, 조, 기장 등 화본과 작물에 피해를 주는 조명나방은 전체적으로 황갈색을 띠고 날개 하단부는 담갈색으로 한 줄의 황색띠를 가지고 있습니다. 줄기 안쪽에 숨어 갉아먹기 때문에 피해를 받으면 줄기에 배설물 흔적이 보입니다.
수확 후 남은 그루터기에서 겨울을 나기 때문에 5월 이전에 제거하여 월동장소를 없애는 것이 필요합니다.

들깨에 피해를 주는 들깨잎말이명나방은 황색바탕에 적갈색 또는 보랏빛 갈색의 무늬가 있으며 날개 하단부는 짙은 갈색을 띕니다. 애벌레가 줄기를 잘라 시든 잎 속에 숨을 곳을 만들고 갉아먹는 피해 증상이 나타납니다.
피해를 주는 애벌레가 잎 속에 있어, 약제 살포 시 전면에 잘 묻어나도록 처리하는 것이 중요합니다. 클로르플루아주론, 테플루벤주론 계열 등 등록 약제를 사용하면 방제 효과가 높습니다.
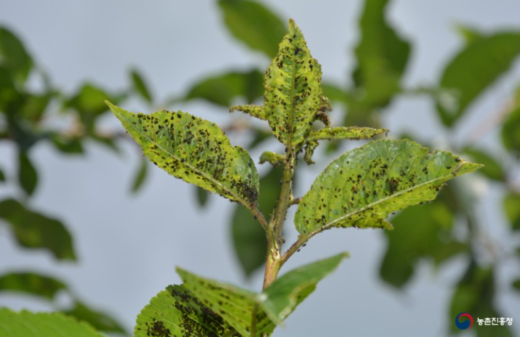
작은 진딧물의 피해

진딧물류는 생육 초기에 두류, 유지, 잡곡류에 전반적으로 발생합니다. 콩진딧물, 싸리수염진딧물, 기장 테두리진딧물 등이 밭작물에 영향을 줍니다. 진딧물류는 잎의 영양분을 흡즙 하여 잎이 말리거나 누렇게 변하는 증상을 나타냅니다. 싸리수염진딧물은 배에 검은 띠무늬가 있고 전체적으로 연황색, 녹색을 띱니다. 기장테두리진딧물은 표면이 암녹색이나 연녹색을 띠며 뿔관 아랫부분 붉은 반점을 가지고 있습니다.
진딧물은 어린잎이나 줄기의 뒷면에 주로 붙어있는데 발생밀도가 높으면 이삭까지 발생하여 작물을 말라죽게 합니다. 또한 바이러스병을 매개하기 때문에 방생면적이 넓어지지 않도록 방제하는 것이 중요합니다.
발생면적확인은 주기적으로 작물의 잎이나 줄기를 눈으로 관찰하는 것이 가장 정확하고, 황색끈끈이 트랩으로 트랩에 유인된 진딧물을 조사하는 방법도 있습니다. 진딧물이 발생하면 플로니카미드, 델타메트린 계열 등의 해당 적목에 등록된 약제를 살포하여 방제합니다.
밭작물 피해를 주는 응애 종류
응애류는 땅콩과 들깨에 주로 피해를 주는데, 점박이응애나 차먼지응애 등이 문제가 되고 있습니다. 특히 들깨는 시설에서 4~5월 이후 발생이 많고, 노지에서는 8월 하순 이후 발생이 많습니다.

점박이응애의 경우 보통 온도가 높거나 높은 강우시기 이후에 발생량이 증가합니다. 주로 잎 뒷면에서 발견되고, 전형적인 피해 증상으로는 잎 표면에 바늘로 찌른 듯한 백색 반점이 나타납니다.
독성이 높은 약제를 살포하게 되면 천적이 없어져 응애의 발생이 높아지는 경우가 많습니다. 또한 단일 약제를 계속 처리하게 되면 약제저항성이 생길 수 있어 주의해야 합니다. 사이에노피라펜 계열과 같은 작목의 등록약제를 사용하여 방제가 필요합니다.
풍뎅이 작물 피해

풍뎅이류는 콩, 땅콩 등 생육 초·중기에 피해를 줍니다. 성충 이전인 굼벵이의 피해를 받으면 작물의 뿌리가 없어지거나 줄기가 꺾이는 증상을 보입니다. 성충이 되고 나면 잎에 피해를 주는데 갉아먹는 면적이 넓고, 특히 상부 잎의 피해가 큽니다.
굼벵이의 발생량이 많아지면 방제가 어려워, 초기 유입량을 주링기 위해 성충 유입 직후 산란하는 것을 방지해야 합니다. 터부포스, 에토프로포스 계열의 등록 약제를 활용할 수 있습니다.
농약허용기준강화제도(PLS)에 맞게 골라야 하는 약제
해충 방제를 위해서는 각 작목별 농약허용기준강화제도(PLS) 기준에 맞춰 약제를 살포해야 합니다. 농약안전정보시스템(https://psis.rda.go.kr)을 통하여 등록된 약제와 정확한 살포방법으로 농약잔류에 문제 되지 않도록 사용하는 것이 중요합니다.
자료 = 농촌진흥청
그럼 여기까지 논·밭작물 별 피해주는 곤충에 대해 알아보았습니다.
감사합니다.
'반려식물꿀팁' 카테고리의 다른 글
| 갈대·억새·핑크뮬리 차이점 (1) | 2023.09.20 |
|---|---|
| 율마와 댑싸리 차이점 및 댑싸리 활용성과 키우기 (1) | 2023.09.14 |
| 나팔꽃과 메꽃 구별법 (0) | 2023.08.08 |
| 딸기 베란다에서 주렁주렁 열리는 방법 (0) | 2023.08.07 |
| 공중 식물 종류 및 관리법 (0) | 2023.08.02 |
댓글